Espèces 673 à 688 sur 699
Tachyura lucasii
Jacquelin du Val, 1852
3 occurrences
3 medias
Tachyura parvula
Dejean, 1831
60 occurrences
60 medias
Tachyura quadrisignata
Duftschmid, 1812
34 occurrences
34 medias
Aepus marinus
Strøm, 1788
2 occurrences
2 medias
Aepus robinii
Laboulbène, 1849
4 occurrences
4 medias
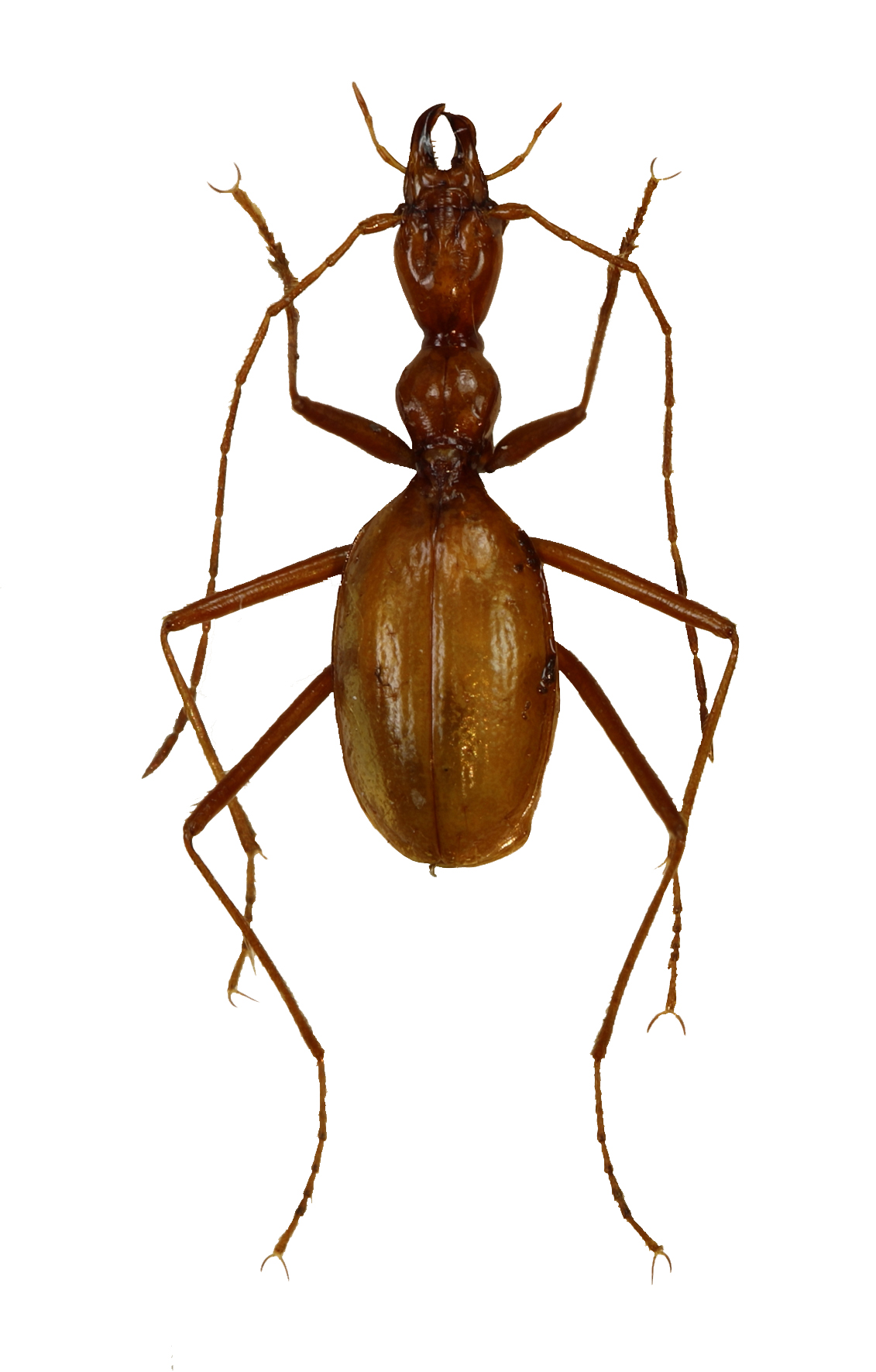
Aphaenops cerberus
Dieck, 1869
2 occurrences
2 medias
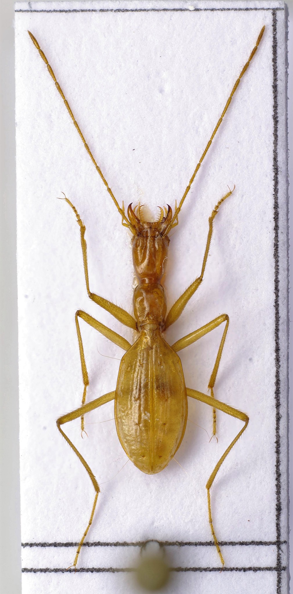
Aphaenops leschenaulti
Bonvouloir, 1862
1 occurrences
1 medias
Aphaenops loubensi
Jeannel, 1953
1 occurrences
1 medias
Aphaenops vandeli
Fourès, 1954
1 occurrences
1 medias
Blemus discus
Fabricius, 1792
200 occurrences
200 medias
Duvalius cailloli
Sainte-Claire Deville, 1902
2 occurrences
2 medias
Duvalius diniensis
Peyerimhoff, 1904
1 occurrences
1 medias
Duvalius ochsi
Dodero, 1921
2 occurrences
2 medias
Duvalius raymondi
Delarouzée, 1859
2 occurrences
2 medias
Perileptus areolatus
Creutzer, 1799
37 occurrences
37 medias
Thalassophilus longicornis
Sturm, 1825
4 occurrences
4 medias