Espèces 2897 à 2912 sur 2929
Trioza brachyceraea
Hodkinson & White, 1979
10 occurrences
10 medias
Trioza centranthi
Vallot, 1829
628 occurrences
628 medias
Trioza cerastii
Linnaeus, 1758
40 occurrences
40 medias
Trioza chenopodii
Reuter, 1876
166 occurrences
166 medias
Trioza chrysanthemi
Löw, 1878
4 occurrences
4 medias
Trioza cirsii
Löw, 1881
3 occurrences
3 medias
Trioza dispar
Löw, 1878
27 occurrences
27 medias
Trioza foersteri
Meyer-Dür, 1871
3 occurrences
3 medias
Trioza galii
Foerster, 1848
33 occurrences
33 medias
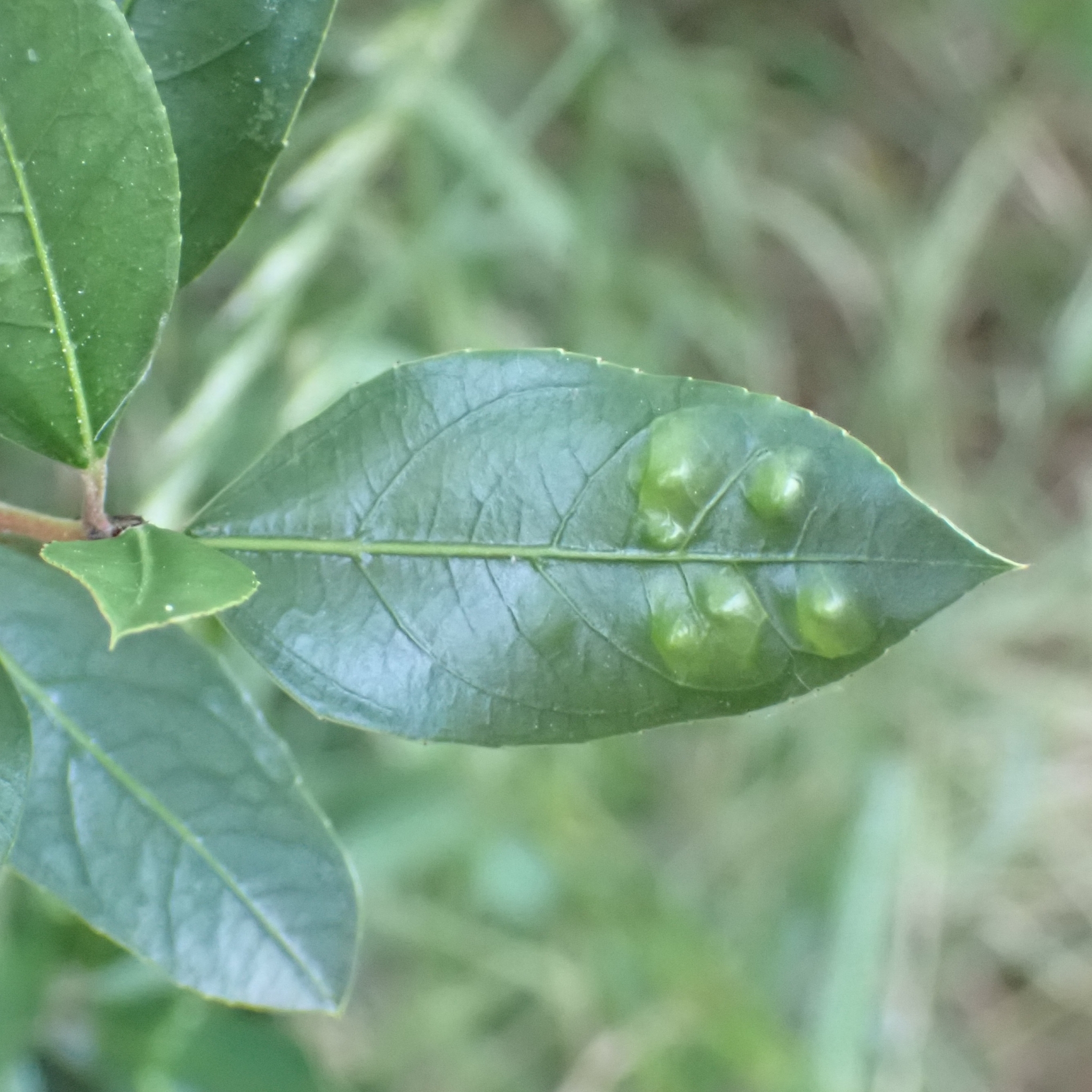
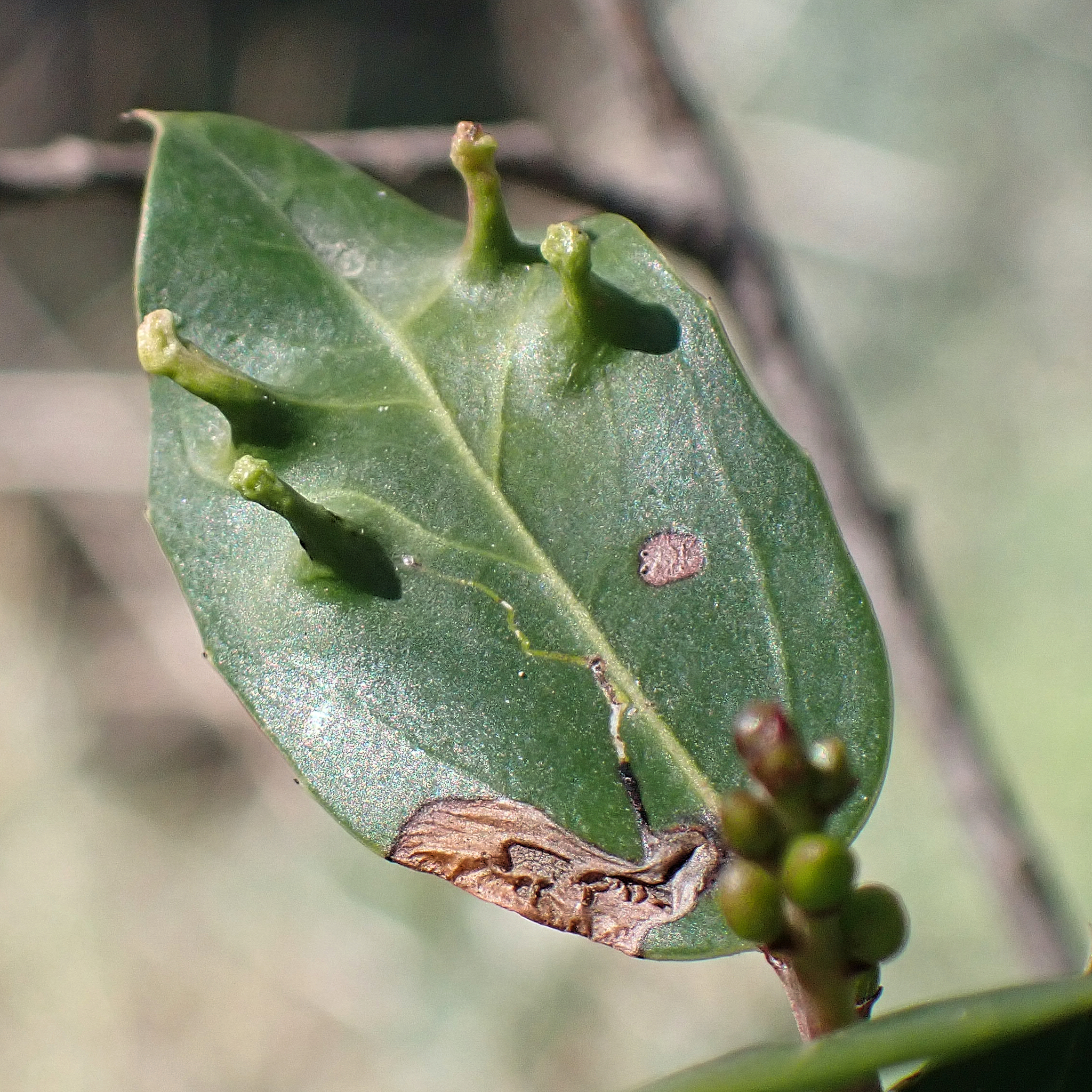
Trioza ilicina
De Stefani Perez, 1901
17 occurrences
17 medias
Trioza kiefferi
Giard, 1902
125 occurrences
125 medias
Trioza laserpitii
Burckhardt & Lauterer, 1982
4 occurrences
4 medias
Trioza marginepunctata
Flor, 1861
3 occurrences
3 medias
Trioza munda
Foerster, 1848
6 occurrences
6 medias
Trioza proxima
Flor, 1861
8 occurrences
8 medias
Trioza remota
Foerster, 1848
421 occurrences
421 medias